Você está visualizando um lote do leilão Bancos que acontecerá Online/Presencial
Ir para Lote?
LEIA ATENTAMENTE AS CONDIÇÕES DO LEILÃO!
Default Image
Lote: 9999

LAND ROVER DISCOVERY3 2008/2008 DIESEL

A descrição deste lote é provisória, sujeita a alterações. A descrição oficial do lote será publicada no Edital deste Leilão. Acompanhe!
Descrição
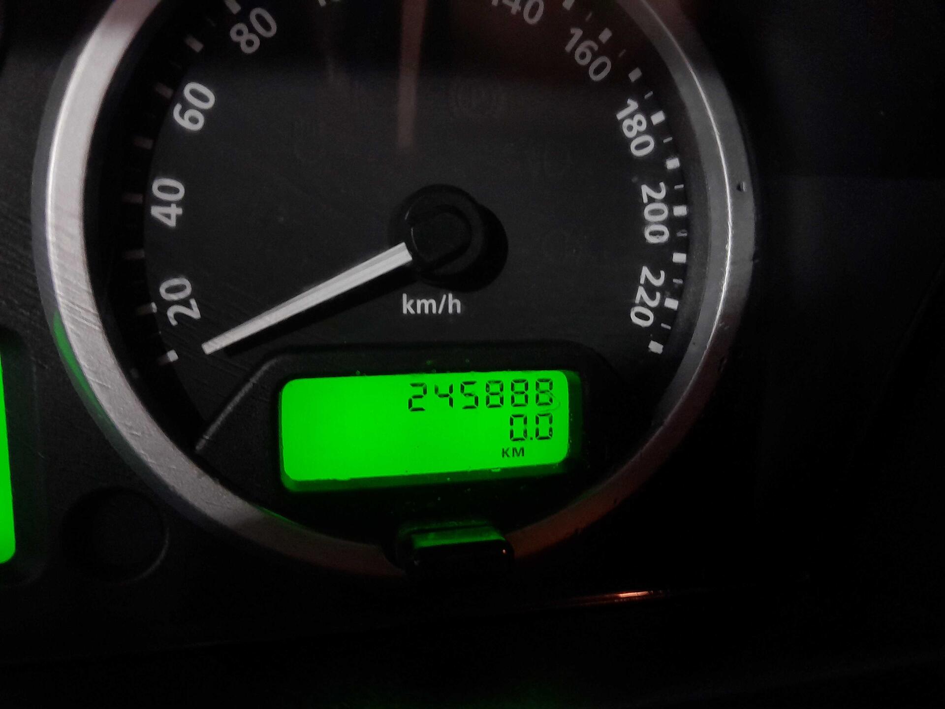
Ar, vidro, direção, estepe, automatico com 245.888km
Observações
Veículo estava ligando
Valor inicial
R$ 32.600,00
Visitação: No dia do leilão, das 08 às 14 horas, na Av. Brasil, 51.467, Campo Grande/ RJ
OBSERVAÇÕES IMPORTANTES
O VEÍCULO SERÁ VENDIDO NO ESTADO GERAL EM QUE SE ENCONTRA, SEM GARANTIA DE MOTOR, CÂMBIO, PEÇAS, PARTE ELÉTRICA, ESTRUTURA OU SINISTROS JÁ OCORRIDOS EM QUALQUER CLASSIFICAÇÃO DE MONTA OU TIPO, CONSTANDO OU NÃO, NOS ÓRGÃOS COMPETENTES SERÁ DE RESPONSABILIDADE DO ARREMATANTE A REGULARIZAÇÃO OU SUBSTITUIÇÃO NECESSÁRIAS OU NOS CASOS DE AUSÊNCIAS E DIVERGÊNCIAS DE ETIQUETAS, SELOS, GRAVAÇÃO DO CHASSIS NOS VIDROS, QUILOMETRAGEM E ETC.

AS FOTOS SÃO MERAMENTE ILUSTRATIVAS E O LEILOEIRO RECOMENDA A VISITAÇÃO PARA AVALIAÇÃO DAS CONDIÇÕES FÍSICAS DO VEÍCULO.

Este lote está em pregão, acesse o sistema para acompanhar o leilão e participar efetuando lances.

Tem interesse? Participe e dê lances

É necessário estar logado para participar do leilão e efetuar lances

Login Cadastro

Tem certeza que deseja efetuar um lance de R$ ${valorLance|moeda} ?

Sim, efetuar lance Cancelar

Digite abaixo o valor que você quer lançar

* O valor inicial poderá sofrer alteração sem aviso prévio até o início do pregão de acordo com a reclassificacão do Santander

Lance inicial: R$ 32.600,00
Incremento: R$ 200,00
Maior lance: ${ maiorLance }
${ lance.arrematante.apelido }
${ lance.arrematante.pessoa.essencial.cidade } - ${ lance.arrematante.pessoa.essencial.uf }
${ moment(lance.data.date).format('L') + ' - ' + moment(lance.data.date).format('LTS') }

Últimos lances

Usuário Data Valor
${ lance.arrematante.apelido } você ${ moment(lance.data.date).format('L') + ' ' + moment(lance.data.date).format('LTS') } R$ ${ lance.valor | moeda }
Nenhum lance registrado para este lote.
${lotesFavoritos.length} Lotes Favoritos ${leiloesFavoritos.length} Leilões Favoritos ${[].length} Documentos
Nenhum documento disponível.
${[].length} Avisos
Nenhum aviso no momento.
Item